Description
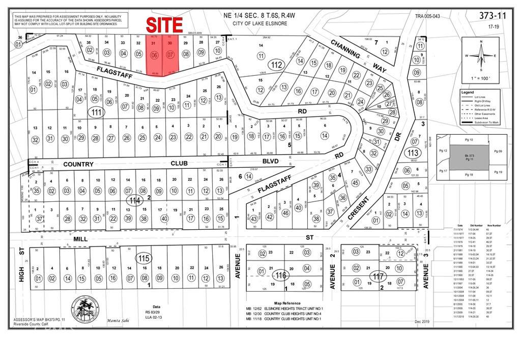
Two (2) contiguous vacant land parcels totaling 0.29 acres (12,631 sqft total) situated in the beautiful community of Lake Elsinore. Just 600 feet north of paved Mill Street. Very close proximity to the lake, schools, parks, and shopping. No paved road access, no utilities, buyers to conduct their own due diligence.
-
0BEDS
-
0.29ACRES
-
0BATHS
-
01/2 BATHS
School Ratings & Info
Description
Two (2) contiguous vacant land parcels totaling 0.29 acres (12,631 sqft total) situated in the beautiful community of Lake Elsinore. Just 600 feet north of paved Mill Street. Very close proximity to the lake, schools, parks, and shopping. No paved road access, no utilities, buyers to conduct their own due diligence.
Based on information from California Regional Multiple Listing Service, Inc. as of 2026-01-18T21:38:16.62. This information is for your personal, non-commercial use and may not be used for any purpose other than to identify prospective properties you may be interested in purchasing. Display of MLS data is deemed reliable but is not guaranteed accurate by the MLS or Legacy 15 Real Estate Brokers. Licensed in the State of California, USA.
