Description
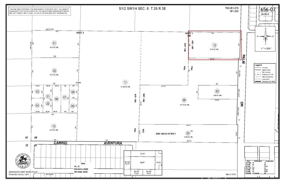
±4.7 Acres Land Opportunity – Near Palm Dr, Desert Hot Springs, CA. Excellent opportunity to acquire approximately 4.7 acres of land located near Palm Dr, offering convenient access and strong exposure within a growing Desert Hot Springs area. This parcel (APN: 656-070-012) is positioned adjacent to two additional available parcels, creating potential for combined development or future assemblage. Zoned for High Density Residential / Mixed-Use (buyer to verify), the property offers flexibility for residential, mixed-use, or investment purposes. Located in a developing area with nearby residential communities and commercial activity. Public utilities may be available along Palm Dr; buyer to verify all details including availability and connection.
-
0BEDS
-
4.7ACRES
-
0BATHS
-
01/2 BATHS
School Ratings & Info
Description
±4.7 Acres Land Opportunity – Near Palm Dr, Desert Hot Springs, CA. Excellent opportunity to acquire approximately 4.7 acres of land located near Palm Dr, offering convenient access and strong exposure within a growing Desert Hot Springs area. This parcel (APN: 656-070-012) is positioned adjacent to two additional available parcels, creating potential for combined development or future assemblage. Zoned for High Density Residential / Mixed-Use (buyer to verify), the property offers flexibility for residential, mixed-use, or investment purposes. Located in a developing area with nearby residential communities and commercial activity. Public utilities may be available along Palm Dr; buyer to verify all details including availability and connection.
Based on information from California Regional Multiple Listing Service, Inc. as of 2026-04-21T11:28:09.7. This information is for your personal, non-commercial use and may not be used for any purpose other than to identify prospective properties you may be interested in purchasing. Display of MLS data is deemed reliable but is not guaranteed accurate by the MLS or Legacy 15 Real Estate Brokers. Licensed in the State of California, USA.
